HOMESFARMSANDLAND
BuySell
    • Featured Properties
    • Property Showcases
    • Latest Blogs
      • Overview
      • Explore Open Houses
      • Discover Rental Living
      • Escape to Cabin Life
      • Unlock Multi-Family Living
      • Your Perfect Land Awaits
      • Embrace Farm Life
      • Overview
      • Find Rentals
      • Find Cabins
      • Browse Homes
      • Browse Farms
      • Browse Lands
    • Saved Properties
    • Overview
    • Buying Form
    • Buying Process
    • Mortgage Calculator
    • Overview
    • Selling Form
    • Selling Process
    • Free Home Evaluation
      • All of Otsego
      • Cooperstown
      • Oneonta
      • West Oneonta
      • Milford
      • Hartwick
      • Worcester
      • Unadilla
      • Laurens
      • Richfield Springs
      • All of Schoharie
      • Cobleskill
      • Middleburgh
      • Schoharie
      • Sharon Springs
      • Summit
      • Richmondville
      • Esperance
      • All of Chenango
      • Norwich
      • Oxford
      • Greene
      • Bainbridge
      • Sherburne
      • All of Delaware
      • Delhi
      • Stamford
      • Andes
      • Walton
      • Margaretville
      • Roxbury
      • Sidney
      • All of Greene
      • Catskill
      • Windham
      • Hunter
      • Cairo
      • Coxsackie
      • Athens
      • All of Broome
      • Binghamton
      • Vestal
      • Endicott
      • All of Oneida
      • New Hartford
      • Utica
      • Marcy
      • Clinton
      • All of Montgomery
      • Amsterdam
      • Fort Plain
      • Canajoharie
      • Fonda
      • All of Ulster
      • Kingston
      • New Paltz
      • Saugerties
      • Woodstock
      • Marlborough
    • Overview
    • Free Vendor List
    • Practical Guides
    • Need Funding?
    • Property Inspector
    • Down Payment Eligibility
    • Location Sharing?
      • Overview
      • Standard Operating Procedure
      • NYS Buyer-Seller
      • NYS Landlord-Tenant
      • Tenant Rights Notice
      • Fair Housing Notice
      • Privacy Policy
      • Location Services
      • Properties Preferences
      • Map Data Attribution
    • Who We Are
    • Meet the Team
Featured
Featured Properties
Property Showcases
Latest Blogs
Search
Advanced Search
Explore Open Houses
Discover Rental Living
Escape to Cabin Life
Unlock Multi-Family Living
Your Perfect Land Awaits
Embrace Farm Life
Search by Map
Find Rentals
Find Cabins
Browse Homes
Browse Farms
Browse Lands
Saved Properties
Buy
Buying Form
Buying Process
Mortgage Calculator
Sell
Selling Form
Selling Process
Free Home Evaluation
HOMESFARMSANDLAND
  • Otsego
  • Schoharie
  • Chenango
  • Delaware
  • Greene
  • Broome
  • Oneida
  • Montgomery
  • Ulster

Select a county to see cities

Resources
Free Vendor List
Practical Guides
Need Funding?
Property Inspector
Down Payment Eligibility
Location Sharing?
Disclosures
Standard Operating Procedure
NYS Buyer-Seller
NYS Landlord-Tenant
Tenant Rights Notice
Fair Housing Notice
Privacy Policy
Location Services
Properties Preferences
Map Data Attribution
About
Who We Are
Meet the Team

HOMESFARMSANDLAND.COM

Kevin Lucero

Lic Real Estate Salesperson

a Charlotteville Realty Team

Independently Owned & Operated

607-282-6242kevin@homesfarmsandland.com

Buying

  • Buying Form
  • Buying Process
  • Mortgage Calculator

Selling

  • Selling Form
  • Selling Process
  • Free Home Evaluation

Layout spacer

    Layout spacer

      About Us

      • Who We are
      • Meet the Team

      Resources

      • Latest Blogs
      • Free Vendor List
      • PracticalGuides
      • Need Funding?
      • Property Inspector
      • Down Payment Eligibility

      Communities

      • Otsego County
      • Schoharie County
      • Chenango County
      • Delaware County
      • Greene County
      • Broome County
      • Oneida County
      • Montgomery County
      • Ulster County

      Disclosures

      • Standard Operating Procedure
      • NYS Buyer-Seller
      • NYS Landlord-Tenant
      • Tenant Rights Notice
      • Fair Housing Notice
      • Privacy Policy
      • Location Services
      • Properties Preferences
      • Map Data Attribution

      © 2026 Homes, Farms & Land. All rights reserved.

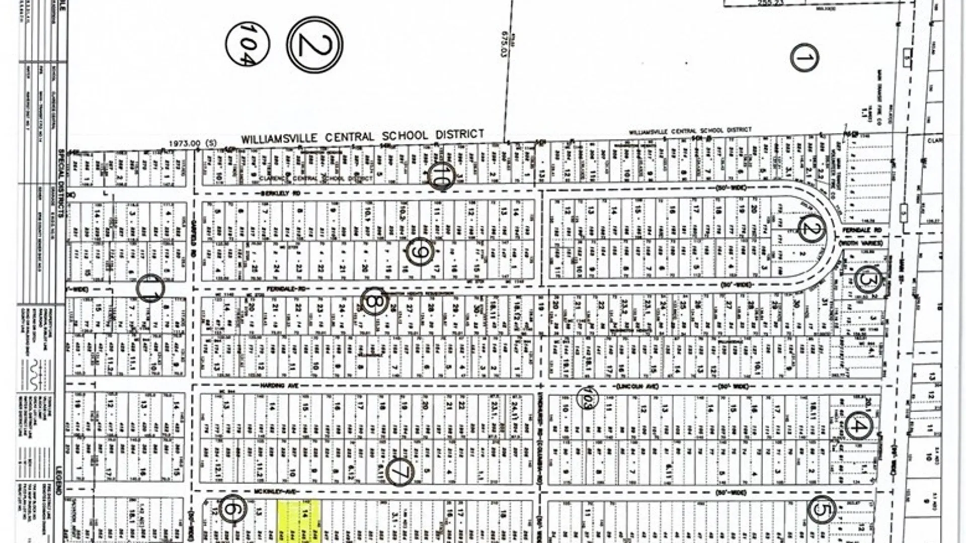
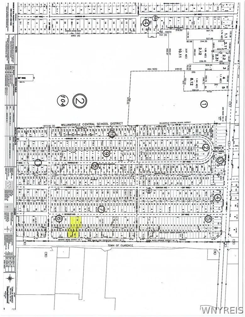
      Property at 7066 Transit Road, Amherst, NY 14221
      ACTIVE
      0
      $849,900

      7066 Transit RoadAmherst, NY, 14221

      LandCommercial0.88 Acres
      Good development potential with multiple frontages (Transit and Mc Kinley). Zoned General Business. Located in the busy section of Transit Rd. 140' fronting on Mc Kinley as well.

      Est. Monthly

      $4,029/mo

      $849,900

      7066 Transit Road, Amherst, NY

      LandCommercial0.88 Acres

      Good development potential with multiple frontages (Transit and Mc Kinley). Zoned General Business. Located in the busy section of Transit Rd. 140' fronting on Mc Kinley as well.

      StatusActive
      Property TypeLand
      Property SubtypeCommercial
      Days on Market58 days

      Est. Monthly Payment

      $4,028.50

      %
      %
      yr

      Private Mortgage Insurance

      Not required

      Affordability Checkoptional
      $

      Enter your annual income to check affordability

      Property Details

      Property Information

      7066 Transit Road

      Amherst, NY 14221 • Erie
      —
      Beds
      —
      Baths
      —
      SqFt
      0.88
      Acres
      Status
      Active
      Property Type
      Land
      Property Subtype
      Commercial
      Days on Market
      58 days
      Tax History
      Estimated values, may not reflect current amounts.
      • Annual Tax Amount
        $8,428
      Property History
      • Listed for sale
        Mar 23, 2026 • NYSAMLS • B1668416
        $849,900
      Mortgage Calculator
      Estimated monthly payment for this property
      $4,028.50
      Down Payment
      Interest Rate
      Loan Term
      %
      %
      yearsyrs.
      Affordability Checkoptional
      $

      Enter your annual income to see if this home fits your budget

      Private Mortgage Insurance

      Not required — down payment above 20%
      MLS Information
      • Source
        NYSAMLS
      • MLS#
        B1668416
      • Listing Office
        MJ Peterson Real Estate Inc.
      • Last Updated
        56 days ago

      Parking

      • Parking Features
        No Driveway

      Lot & Grounds

      • Lot Size
        0.88 acres
      • Lot Features
        • Other
        • Rectangular
        • Rectangular Lot
        • See Remarks
        • Wooded
        • Cleared
        • Level

      Type

      • Property Type
        Land
      • Property Subtype
        Commercial

      Condition

      • Days on Market
        58 days
      • Water
        None
      • Sewer
        Other
      • Utilities
        • Electricity Available
        • Natural Gas Available
        • Sewer Available
        • Water Available

      607-282-6242, (607) 282-6242, or +1 607 282 6242

      Kevin Lucero

      Kevin Lucero

      Lic. Real Estate Salesperson

      CallEmail
      Picked for you

      Similar Properties

      Handpicked listings that match what you're looking at

      View all →
      • 5121 Rt-365, Verona, NY 13478ACTIVE$765,000

        5121 Rt-365, Verona, NY 13478

        LandCommercial63.01 Acres

        LISTING BY CANAAN REALTY

      • 1 Crossmon Street, Alexandria, NY 13607ACTIVE$769,000

        1 Crossmon Street, Alexandria, NY 13607

        12,200 SqFt0.4261 Acres

        LISTING BY GARLOCK REALTY

      • 12 Park Place Street, Hudson, NY 12534ACTIVE$775,000

        12 Park Place Street, Hudson, NY 12534

        5,934 SqFt0.49 Acres

        LISTING BY HOWARD HANNA

      • 196 N Water Street, Rochester, NY 14604ACTIVE$795,000

        196 N Water Street, Rochester, NY 14604

        37,200 SqFt0.1491 Acres

        LISTING BY HOWARD HANNA

      • 2704 State Route 28, Webb, NY 13472ACTIVE$799,000

        2704 State Route 28, Webb, NY 13472

        3,238 SqFt0.94 Acres

        LISTING BY COLDWELL BANKER FAITH PROPERTIES

      • 8030 Seneca Turnpike, New Hartford, NY 13323ACTIVE$799,000

        8030 Seneca Turnpike, New Hartford, NY 13323

        LandCommercial6.59 Acres

        LISTING BY VIRKLER REAL ESTATE

      • 3522 Andover Road, Wellsville, NY 14895ACTIVE$799,900

        3522 Andover Road, Wellsville, NY 14895

        8,850 SqFt1.05 Acres

        LISTING BY HOWARD HANNA

      • 107 Bennett Road, Camillus, NY 13031ACTIVE$800,000

        107 Bennett Road, Camillus, NY 13031

        4,000 SqFt2 Acres

        LISTING BY SYRACUSE REALTY GROUP

      • 220 Meyer Road, Amherst, NY 14226ACTIVE$800,000

        220 Meyer Road, Amherst, NY 14226

        LandCommercial0.6515 Acres

        LISTING BY KELLER WILLIAMS REALTY WNY

      • 346 Exchange Street, Geneva City, NY 14456ACTIVE$800,000

        346 Exchange Street, Geneva City, NY 14456

        7,030 SqFt0.39 Acres

        LISTING BY DONOVAN REAL ESTATE SERVICES