HOMESFARMSANDLAND
BuySell
    • Featured Properties
    • Property Showcases
    • Latest Blogs
      • Overview
      • Explore Open Houses
      • Discover Rental Living
      • Escape to Cabin Life
      • Unlock Multi-Family Living
      • Your Perfect Land Awaits
      • Embrace Farm Life
      • Overview
      • Find Rentals
      • Find Cabins
      • Browse Homes
      • Browse Farms
      • Browse Lands
    • Saved Properties
    • Overview
    • Buying Form
    • Buying Process
    • Mortgage Calculator
    • Overview
    • Selling Form
    • Selling Process
    • Free Home Evaluation
      • All of Otsego
      • Cooperstown
      • Oneonta
      • West Oneonta
      • Milford
      • Hartwick
      • Worcester
      • Unadilla
      • Laurens
      • Richfield Springs
      • All of Schoharie
      • Cobleskill
      • Middleburgh
      • Schoharie
      • Sharon Springs
      • Summit
      • Richmondville
      • Esperance
      • All of Chenango
      • Norwich
      • Oxford
      • Greene
      • Bainbridge
      • Sherburne
      • All of Delaware
      • Delhi
      • Stamford
      • Andes
      • Walton
      • Margaretville
      • Roxbury
      • Sidney
      • All of Greene
      • Catskill
      • Windham
      • Hunter
      • Cairo
      • Coxsackie
      • Athens
      • All of Broome
      • Binghamton
      • Vestal
      • Endicott
      • All of Oneida
      • New Hartford
      • Utica
      • Marcy
      • Clinton
      • All of Montgomery
      • Amsterdam
      • Fort Plain
      • Canajoharie
      • Fonda
      • All of Ulster
      • Kingston
      • New Paltz
      • Saugerties
      • Woodstock
      • Marlborough
    • Overview
    • Free Vendor List
    • Practical Guides
    • Need Funding?
    • Property Inspector
    • Down Payment Eligibility
    • Location Sharing?
      • Overview
      • Standard Operating Procedure
      • NYS Buyer-Seller
      • NYS Landlord-Tenant
      • Tenant Rights Notice
      • Fair Housing Notice
      • Privacy Policy
      • Location Services
      • Properties Preferences
      • Map Data Attribution
    • Who We Are
    • Meet the Team
Featured
Featured Properties
Property Showcases
Latest Blogs
Search
Advanced Search
Explore Open Houses
Discover Rental Living
Escape to Cabin Life
Unlock Multi-Family Living
Your Perfect Land Awaits
Embrace Farm Life
Search by Map
Find Rentals
Find Cabins
Browse Homes
Browse Farms
Browse Lands
Saved Properties
Buy
Buying Form
Buying Process
Mortgage Calculator
Sell
Selling Form
Selling Process
Free Home Evaluation
HOMESFARMSANDLAND
  • Otsego
  • Schoharie
  • Chenango
  • Delaware
  • Greene
  • Broome
  • Oneida
  • Montgomery
  • Ulster

Select a county to see cities

Resources
Free Vendor List
Practical Guides
Need Funding?
Property Inspector
Down Payment Eligibility
Location Sharing?
Disclosures
Standard Operating Procedure
NYS Buyer-Seller
NYS Landlord-Tenant
Tenant Rights Notice
Fair Housing Notice
Privacy Policy
Location Services
Properties Preferences
Map Data Attribution
About
Who We Are
Meet the Team

HOMESFARMSANDLAND.COM

Kevin Lucero

Lic Real Estate Salesperson

a Charlotteville Realty Team

Independently Owned & Operated

607-282-6242kevin@homesfarmsandland.com

Buying

  • Buying Form
  • Buying Process
  • Mortgage Calculator

Selling

  • Selling Form
  • Selling Process
  • Free Home Evaluation

Layout spacer

    Layout spacer

      About Us

      • Who We are
      • Meet the Team

      Resources

      • Latest Blogs
      • Free Vendor List
      • PracticalGuides
      • Need Funding?
      • Property Inspector
      • Down Payment Eligibility

      Communities

      • Otsego County
      • Schoharie County
      • Chenango County
      • Delaware County
      • Greene County
      • Broome County
      • Oneida County
      • Montgomery County
      • Ulster County

      Disclosures

      • Standard Operating Procedure
      • NYS Buyer-Seller
      • NYS Landlord-Tenant
      • Tenant Rights Notice
      • Fair Housing Notice
      • Privacy Policy
      • Location Services
      • Properties Preferences
      • Map Data Attribution

      © 2026 Homes, Farms & Land. All rights reserved.

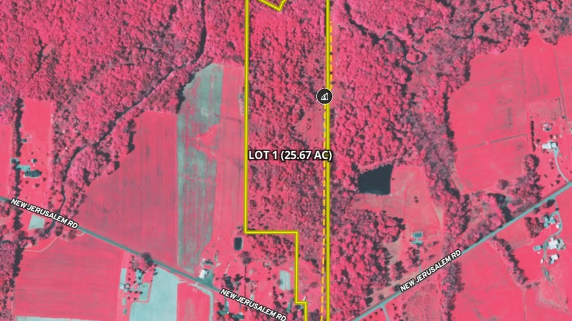
      Property at New Jerusalem Road, Evans, NY 14006
      ACTIVE
      0
      $169,900

      New Jerusalem RoadEvans, NY, 14006

      LandRecreation25.67 Acres
      23 acre Whitetail Haven in Prime Southern Erie County Location Discover a hidden gem of a hunting property perfectly situated between Eden, Evans, North Collins, and Angola—an ideal spot offering both convenient access and exceptional whitetail opportunities. This is where trophy dreams meet total privacy. With a long history of producing mature, 150-class bucks, this property has been a family treasure for generations. Thanks to a single point of access, hunters have enjoyed unmatched seclusion and quiet during their hunts—rarely interrupted and full of success. The land is thoughtfully designed for wildlife: established food plots and a large agricultural field along the western boundary provide abundant food sources, complemented by natural browse throughout the property. The diverse mix of forest—including early successional growth—creates ideal bedding and security cover for deer. During the agent’s tour, signs of heavy deer activity were unmistakable, with countless tracks and rubs confirming the property’s thriving whitetail population. Additionally, a gas well on-site offers a clear road access into the parcel Whether you’re seeking your next trophy, a weekend escape, or a legacy hunting retreat, this property embodies the very best of rural Western New York’s whitetail country. ADDITIONAL INFORMATION: Timber and GMO rights convey, 2.5 miles to Eden, 4.1 miles to Angola, 7.4 miles to North Collins, 7.3 miles to Hamburg. Taxes TBD post subdivision, subdivision based on town approval. Buyer agent must be present on all showings. Do not send clients out without accompanying them.
      1 / 18

      Est. Monthly

      $805/mo

      $169,900

      New Jerusalem Road, Evans, NY

      LandRecreation25.67 Acres

      23 acre Whitetail Haven in Prime Southern Erie County Location Discover a hidden gem of a hunting property perfectly situated between Eden, Evans, North Collins, and Angola—an ideal spot offering both convenient access and exceptional whitetail opportunities. This is where trophy dreams meet total privacy. With a long history of producing mature, 150-class bucks, this property has been a family treasure for generations. Thanks to a single point of access, hunters have enjoyed unmatched seclusion and quiet during their hunts—rarely interrupted and full of success. The land is thoughtfully designed for wildlife: established food plots and a large agricultural field along the western boundary provide abundant food sources, complemented by natural browse throughout the property. The diverse mix of forest—including early successional growth—creates ideal bedding and security cover for deer. During the agent’s tour, signs of heavy deer activity were unmistakable, with countless tracks and rubs confirming the property’s thriving whitetail population. Additionally, a gas well on-site offers a clear road access into the parcel Whether you’re seeking your next trophy, a weekend escape, or a legacy hunting retreat, this property embodies the very best of rural Western New York’s whitetail country. ADDITIONAL INFORMATION: Timber and GMO rights convey, 2.5 miles to Eden, 4.1 miles to Angola, 7.4 miles to North Collins, 7.3 miles to Hamburg. Taxes TBD post subdivision, subdivision based on town approval. Buyer agent must be present on all showings. Do not send clients out without accompanying them.

      StatusActive
      Property TypeLand
      Property SubtypeRecreation
      Days on Market103 days

      Est. Monthly Payment

      $805.32

      %
      %
      yr

      Private Mortgage Insurance

      Not required

      Affordability Checkoptional
      $

      Enter your annual income to check affordability

      Property Details

      Property Information

      New Jerusalem Road

      Evans, NY 14006 • Erie
      —
      Beds
      —
      Baths
      —
      SqFt
      25.67
      Acres
      Status
      Active
      Property Type
      Land
      Property Subtype
      Recreation
      Days on Market
      103 days
      Tax History
      Estimated values, may not reflect current amounts.
      • Annual Tax Amount
        $2,254
      Property History
      • Listed for sale
        Feb 6, 2026 • NYSAMLS • R1661122
        $169,900
      Mortgage Calculator
      Estimated monthly payment for this property
      $805.32
      Down Payment
      Interest Rate
      Loan Term
      %
      %
      yearsyrs.
      Affordability Checkoptional
      $

      Enter your annual income to see if this home fits your budget

      Private Mortgage Insurance

      Not required — down payment above 20%
      MLS Information
      • Source
        NYSAMLS
      • MLS#
        R1661122
      • Listing Office
        Whitetail Properties Real Estate, LLC
      • Last Updated
        5 days ago

      Lot & Grounds

      • Lot Size
        25.67 acres
      • Lot Features
        • Corner Lot
        • Irregular Lot
        • Level
        • Wooded
      • Exterior Features
        Dirt Driveway

      Type

      • Property Type
        Land
      • Property Subtype
        Recreation

      Condition

      • Days on Market
        103 days
      • Water
        None
      • Sewer
        None
      • Utilities
        • Cable Available
        • Electricity Available
        • Sewer Not Available
        • Water Not Available

      607-282-6242, (607) 282-6242, or +1 607 282 6242

      Kevin Lucero

      Kevin Lucero

      Lic. Real Estate Salesperson

      CallEmail
      Picked for you

      Similar Properties

      Handpicked listings that match what you're looking at

      View all →
      • River Road, Amity, NY 14813ACTIVE$159,900

        River Road, Amity, NY 14813

        LandRecreation60 Acres

        LISTING BY LANDQUEST INC.

      • 00 Pee Dee Road, Wethersfield, NY 14024ACTIVE$159,900

        00 Pee Dee Road, Wethersfield, NY 14024

        LandRecreation26.37 Acres

        LISTING BY NEXT HOME BRIXWOOD

      • 0 Ruttin Rd Road, Scio, NY 14880ACTIVE$159,900

        0 Ruttin Rd Road, Scio, NY 14880

        LandRecreation77.42 Acres

        LISTING BY BERKSHIRE HATHAWAY HS ZAMBITO

      • Lot 3-1 Oregon Road, Little Falls Town, NY 13365ACTIVE$165,000

        Lot 3-1 Oregon Road, Little Falls Town, NY 13365

        LandRecreation30 Acres

        LISTING BY RIVER HILLS PROPERTIES LLC LF

      • Nys Route 414, Catlin, NY 14902ACTIVE$169,900

        Nys Route 414, Catlin, NY 14902

        LandRecreation72.35 Acres

        LISTING BY LANDQUEST INC.

      • Gallop Hill Road, Sidney, NY 13838ACTIVE$175,000

        Gallop Hill Road, Sidney, NY 13838

        LandRecreation42.3 Acres

        LISTING BY COLDWELL BANKER TIMBERLAND PROPERTIES

      • 7523 Miller Road, West Almond, NY 14804ACTIVE$179,900

        7523 Miller Road, West Almond, NY 14804

        840 SqFt4.1 Acres

        LISTING BY LANDQUEST INC.