HOMESFARMSANDLAND
BuySell
    • Featured Properties
    • Property Showcases
    • Latest Blogs
      • Overview
      • Explore Open Houses
      • Discover Rental Living
      • Escape to Cabin Life
      • Unlock Multi-Family Living
      • Your Perfect Land Awaits
      • Embrace Farm Life
      • Overview
      • Find Rentals
      • Find Cabins
      • Browse Homes
      • Browse Farms
      • Browse Lands
    • Saved Properties
    • Overview
    • Buying Form
    • Buying Process
    • Mortgage Calculator
    • Overview
    • Selling Form
    • Selling Process
    • Free Home Evaluation
      • All of Otsego
      • Cooperstown
      • Oneonta
      • West Oneonta
      • Milford
      • Hartwick
      • Worcester
      • Unadilla
      • Laurens
      • Richfield Springs
      • All of Schoharie
      • Cobleskill
      • Middleburgh
      • Schoharie
      • Sharon Springs
      • Summit
      • Richmondville
      • Esperance
      • All of Chenango
      • Norwich
      • Oxford
      • Greene
      • Bainbridge
      • Sherburne
      • All of Delaware
      • Delhi
      • Stamford
      • Andes
      • Walton
      • Margaretville
      • Roxbury
      • Sidney
      • All of Greene
      • Catskill
      • Windham
      • Hunter
      • Cairo
      • Coxsackie
      • Athens
      • All of Broome
      • Binghamton
      • Vestal
      • Endicott
      • All of Oneida
      • New Hartford
      • Utica
      • Marcy
      • Clinton
      • All of Montgomery
      • Amsterdam
      • Fort Plain
      • Canajoharie
      • Fonda
      • All of Ulster
      • Kingston
      • New Paltz
      • Saugerties
      • Woodstock
      • Marlborough
    • Overview
    • Free Vendor List
    • Practical Guides
    • Need Funding?
    • Property Inspector
    • Down Payment Eligibility
    • Location Sharing?
      • Overview
      • Standard Operating Procedure
      • NYS Buyer-Seller
      • NYS Landlord-Tenant
      • Tenant Rights Notice
      • Fair Housing Notice
      • Privacy Policy
      • Location Services
      • Properties Preferences
      • Map Data Attribution
    • Who We Are
    • Meet the Team
Featured
Featured Properties
Property Showcases
Latest Blogs
Search
Advanced Search
Explore Open Houses
Discover Rental Living
Escape to Cabin Life
Unlock Multi-Family Living
Your Perfect Land Awaits
Embrace Farm Life
Search by Map
Find Rentals
Find Cabins
Browse Homes
Browse Farms
Browse Lands
Saved Properties
Buy
Buying Form
Buying Process
Mortgage Calculator
Sell
Selling Form
Selling Process
Free Home Evaluation
HOMESFARMSANDLAND
  • Otsego
  • Schoharie
  • Chenango
  • Delaware
  • Greene
  • Broome
  • Oneida
  • Montgomery
  • Ulster

Select a county to see cities

Resources
Free Vendor List
Practical Guides
Need Funding?
Property Inspector
Down Payment Eligibility
Location Sharing?
Disclosures
Standard Operating Procedure
NYS Buyer-Seller
NYS Landlord-Tenant
Tenant Rights Notice
Fair Housing Notice
Privacy Policy
Location Services
Properties Preferences
Map Data Attribution
About
Who We Are
Meet the Team

Let's Find Your Next Property.

HOMESFARMSANDLAND.COM

Kevin Lucero

Lic. Real Estate Salesperson

a Charlotteville Realty Team

Independently Owned & Operated

607-282-6242kevin@homesfarmsandland.com

Buying

  • Buying Form
  • Buying Process
  • Mortgage Calculator

Selling

  • Selling Form
  • Selling Process
  • Free Home Evaluation

About Us

  • Who We are
  • Meet the Team

Resources

  • Latest Blogs
  • Free Vendor List
  • PracticalGuides
  • Need Funding?
  • Property Inspector
  • Down Payment Eligibility

Communities

  • Otsego County
  • Schoharie County
  • Chenango County
  • Delaware County
  • Greene County
  • Broome County
  • Oneida County
  • Montgomery County
  • Ulster County

Disclosures

  • Standard Operating Procedure
  • NYS Buyer-Seller
  • NYS Landlord-Tenant
  • Tenant Rights Notice
  • Fair Housing Notice
  • Privacy Policy
  • Location Services
  • Properties Preferences
  • Map Data Attribution

© 2026 Homes, Farms & Land. All rights reserved.

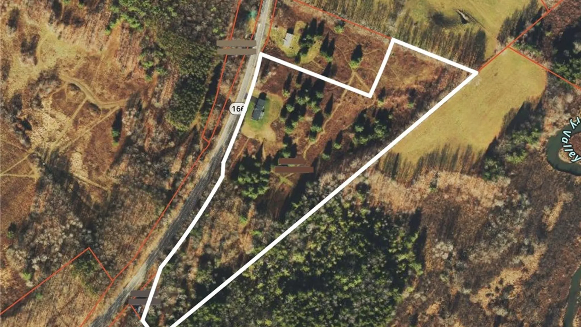
Property at 412 State Highway 166, Middlefield, NY 13326
IN ESCROW
0
$275,000

412 State Highway 166Middlefield, NY, 13326

3 Beds2 Baths1,653 SqFt13.69 Acres
Looking for a newly built, ranch-style home, with some acreage and scenic views just a hop, skip and a jump from Otsego Lake? Look no further! Built in 2021, this pristine and spacious home is situated on 13+ acres of picturesque land with views of the valley. It is located just five miles from Cooperstown Dreams Park and a short ten minute drive from Otsego Lake and the Village of Cooperstown. With it's central location, this property would make an excellent home or rental investment. As you step into the spacious floor plan, you’re greeted by a beautiful kitchen ideal for culinary enthusiasts. The kitchen features a large island, plenty of counter space, and stainless steel appliances including a gas range. There is plenty of room for dining, relaxing, and entertaining in this modern home. The deck, which overlooks the valley, is located just off the dining area via a sliding glass door. The living room is tastefully situated for your entertainment system and includes an electric fireplace for added ambiance. The forced hot air and central AC system keep the home comfortable all year round. The "guest quarters" are located on the garage side of the house and comprised of two bedrooms and a full bathroom. There is also a convenient laundry room/mud room area that leads to the two car garage and offers space for extra storage. The primary bedroom is expansive and includes a deep walk-in closet and a large full bathroom with a glass shower area with beautiful finishes. The back deck provides stunning views of the valley and surrounding mountains—perfect for watching the sunset or the birds and wildlife on the property. This RARE new home is turn-key, low-maintenance, and ready for you!
1 / 36

Est. Monthly

$1,303/mo

$275,000

412 State Highway 166, Middlefield, NY

3 Beds2 Baths1,653 SqFt13.69 Acres

Looking for a newly built, ranch-style home, with some acreage and scenic views just a hop, skip and a jump from Otsego Lake? Look no further! Built in 2021, this pristine and spacious home is situated on 13+ acres of picturesque land with views of the valley. It is located just five miles from Cooperstown Dreams Park and a short ten minute drive from Otsego Lake and the Village of Cooperstown. With it's central location, this property would make an excellent home or rental investment. As you step into the spacious floor plan, you’re greeted by a beautiful kitchen ideal for culinary enthusiasts. The kitchen features a large island, plenty of counter space, and stainless steel appliances including a gas range. There is plenty of room for dining, relaxing, and entertaining in this modern home. The deck, which overlooks the valley, is located just off the dining area via a sliding glass door. The living room is tastefully situated for your entertainment system and includes an electric fireplace for added ambiance. The forced hot air and central AC system keep the home comfortable all year round. The "guest quarters" are located on the garage side of the house and comprised of two bedrooms and a full bathroom. There is also a convenient laundry room/mud room area that leads to the two car garage and offers space for extra storage. The primary bedroom is expansive and includes a deep walk-in closet and a large full bathroom with a glass shower area with beautiful finishes. The back deck provides stunning views of the valley and surrounding mountains—perfect for watching the sunset or the birds and wildlife on the property. This RARE new home is turn-key, low-maintenance, and ready for you!

StatusIn Escrow
Property TypeResidential
Property SubtypeManufactured On Land
Year Built2021
Total Rooms7 rooms
Days on Market97 days

Est. Monthly Payment

$1,303.49

%
%
yr

Private Mortgage Insurance

Not required

Affordability Checkoptional
$

Enter your annual income to check affordability

Property Details

Property Information

412 State Highway 166

Middlefield, NY 13326 • Otsego
3
Beds
2
Baths
1,653
SqFt
13.69
Acres
Status
In Escrow
Property Type
Residential
Property Subtype
Manufactured On Land
Year Built
20215 years ago
Total Rooms
7 rooms
Days on Market
97 days
Tax History
Estimated values, may not reflect current amounts.
  • Annual Tax Amount
    $4,280
Property History
  • Listed for sale
    Feb 13, 2026 • NYSAMLS • R1660803
    $275,000
Mortgage Calculator
Estimated monthly payment for this property
$1,303.49
Down Payment
Interest Rate
Loan Term
%
%
yearsyrs.
Affordability Checkoptional
$

Enter your annual income to see if this home fits your budget

Private Mortgage Insurance

Not required — down payment above 20%
MLS Information
  • Source
    NYSAMLS
  • MLS#
    R1660803
  • Listing Office
    Keller Williams Upstate NY Properties
  • Last Updated
    9 days ago

Appliances

  • Appliances
    • Dryer
    • Dishwasher
    • Freezer
    • Gas Oven
    • Gas Range
    • Microwave
    • Propane Water Heater
    • Refrigerator
    • Washer

Climate & Systems

  • Heating
    • Propane
    • Forced Air

Interior Features

  • Flooring
    • Carpet
    • Luxury Vinyl
    • Varies
  • Basement
    None
  • Interior Features
    • Kitchen Island
    • Kitchen Family Room Combo
    • Living Dining Room
    • Main Level Primary
    • Primary Suite

Parking

  • Parking Features
    • Attached
    • Garage
  • Garage Spaces
    2

Lot & Grounds

  • Lot Size
    13.69 acres
  • Lot Features
    Irregular Lot
  • Exterior Features
    • Blacktop Driveway
    • Propane Tank Leased

Type

  • Property Type
    Residential
  • Property Subtype
    Manufactured On Land
  • Architectural Style
    • Manufactured Home
    • Mobile Home

Structure

  • Construction
    • Frame
    • Vinyl Siding
  • Roof
    • Asphalt
    • Shingle
  • Foundation
    Poured

Condition

  • Year Built
    2021
  • Condition
    Resale
  • Days on Market
    97 days
  • Water
    Well
  • Sewer
    Septic Tank

607-282-6242, (607) 282-6242, or +1 607 282 6242

Kevin Lucero

Kevin Lucero

Lic. Real Estate Salesperson

CallEmail
Picked for you

Similar Properties

Handpicked listings that match what you're looking at

View all →
  • 36035 Amend Road, Orleans, NY 13656ACTIVE$249,900

    36035 Amend Road, Orleans, NY 13656

    3 Beds2 Baths1,792 SqFt6.66 Acres

    LISTING BY NORTH STAR REAL ESTATE & PROPERTY MANAGEMENT

  • 46 Craw Road, Palermo, NY 13114ACTIVE$249,900

    46 Craw Road, Palermo, NY 13114

    3 Beds2 Baths1,904 SqFt10.11 Acres

    LISTING BY COLDWELL BANKER PRIME PROP,INC

  • 440 Lena Road, New Lisbon, NY 13810ACTIVE$249,900

    440 Lena Road, New Lisbon, NY 13810

    3 Beds2 Baths1,178 SqFt3.89 Acres

    LISTING BY COLDWELL BANKER TIMBERLAND PROPERTIES

  • 57 Scott Road, Sandy Creek, NY 13145ACTIVE$249,900

    57 Scott Road, Sandy Creek, NY 13145

    3 Beds3 Baths1,728 SqFt1.44 Acres

    LISTING BY WORLD UNITED REALTY INC.

  • 1052 County Highway 23, Walton, NY 13856ACTIVE$250,000

    1052 County Highway 23, Walton, NY 13856

    5 Beds2 Baths1,900 SqFt6.18 Acres

    LISTING BY HOWARD HANNA

  • 11156 Weaver Road, Yorkshire, NY 14042ACTIVE$250,000

    11156 Weaver Road, Yorkshire, NY 14042

    3 Beds2 Baths1,008 SqFt11.35 Acres

    LISTING BY HOWARD HANNA WNY INC.

  • 565 Ridge Road, Hancock, NY 13783ACTIVE$255,000

    565 Ridge Road, Hancock, NY 13783

    3 Beds2 Baths1,680 SqFt5.21 Acres

    LISTING BY KELLER WILLIAMS UPSTATE NY PROPERTIES

  • 365 Hoffman Road, Oppenheim, NY 13452ACTIVE$259,000

    365 Hoffman Road, Oppenheim, NY 13452

    3 Beds2 Baths1,904 SqFt2.72 Acres

    LISTING BY EMPIRE HOMES & COMMERCIAL LLC

  • 144 Bonnie Brook Road, Hancock, NY 12776ACTIVE$259,900

    144 Bonnie Brook Road, Hancock, NY 12776

    3 Beds2 Baths1,104 SqFt5 Acres

    LISTING BY LAND AND WATER REALTY LLC

  • 27165 Victory Lane, Le Ray, NY 13601ACTIVE$259,999

    27165 Victory Lane, Le Ray, NY 13601

    4 Beds3 Baths2,052 SqFt1.25 Acres

    LISTING BY NORTH STAR REAL ESTATE & PROPERTY MANAGEMENT