HOMESFARMSANDLAND
BuySell
    • Featured Properties
    • Property Showcases
    • Latest Blogs
      • Overview
      • Explore Open Houses
      • Discover Rental Living
      • Escape to Cabin Life
      • Unlock Multi-Family Living
      • Your Perfect Land Awaits
      • Embrace Farm Life
      • Overview
      • Find Rentals
      • Find Cabins
      • Browse Homes
      • Browse Farms
      • Browse Lands
    • Saved Properties
    • Overview
    • Buying Form
    • Buying Process
    • Mortgage Calculator
    • Overview
    • Selling Form
    • Selling Process
    • Free Home Evaluation
      • All of Otsego
      • Cooperstown
      • Oneonta
      • West Oneonta
      • Milford
      • Hartwick
      • Worcester
      • Unadilla
      • Laurens
      • Richfield Springs
      • All of Schoharie
      • Cobleskill
      • Middleburgh
      • Schoharie
      • Sharon Springs
      • Summit
      • Richmondville
      • Esperance
      • All of Chenango
      • Norwich
      • Oxford
      • Greene
      • Bainbridge
      • Sherburne
      • All of Delaware
      • Delhi
      • Stamford
      • Andes
      • Walton
      • Margaretville
      • Roxbury
      • Sidney
      • All of Greene
      • Catskill
      • Windham
      • Hunter
      • Cairo
      • Coxsackie
      • Athens
      • All of Broome
      • Binghamton
      • Vestal
      • Endicott
      • All of Oneida
      • New Hartford
      • Utica
      • Marcy
      • Clinton
      • All of Montgomery
      • Amsterdam
      • Fort Plain
      • Canajoharie
      • Fonda
      • All of Ulster
      • Kingston
      • New Paltz
      • Saugerties
      • Woodstock
      • Marlborough
    • Overview
    • Free Vendor List
    • Practical Guides
    • Need Funding?
    • Property Inspector
    • Down Payment Eligibility
    • Location Sharing?
      • Overview
      • Standard Operating Procedure
      • NYS Buyer-Seller
      • NYS Landlord-Tenant
      • Tenant Rights Notice
      • Fair Housing Notice
      • Privacy Policy
      • Location Services
      • Properties Preferences
      • Map Data Attribution
    • Who We Are
    • Meet the Team
Featured
Featured Properties
Property Showcases
Latest Blogs
Search
Advanced Search
Explore Open Houses
Discover Rental Living
Escape to Cabin Life
Unlock Multi-Family Living
Your Perfect Land Awaits
Embrace Farm Life
Search by Map
Find Rentals
Find Cabins
Browse Homes
Browse Farms
Browse Lands
Saved Properties
Buy
Buying Form
Buying Process
Mortgage Calculator
Sell
Selling Form
Selling Process
Free Home Evaluation
HOMESFARMSANDLAND
  • Otsego
  • Schoharie
  • Chenango
  • Delaware
  • Greene
  • Broome
  • Oneida
  • Montgomery
  • Ulster

Select a county to see cities

Resources
Free Vendor List
Practical Guides
Need Funding?
Property Inspector
Down Payment Eligibility
Location Sharing?
Disclosures
Standard Operating Procedure
NYS Buyer-Seller
NYS Landlord-Tenant
Tenant Rights Notice
Fair Housing Notice
Privacy Policy
Location Services
Properties Preferences
Map Data Attribution
About
Who We Are
Meet the Team

HOMESFARMSANDLAND.COM

Kevin Lucero

Lic Real Estate Salesperson

a Charlotteville Realty Team

Independently Owned & Operated

607-282-6242kevin@homesfarmsandland.com

Buying

  • Buying Form
  • Buying Process
  • Mortgage Calculator

Selling

  • Selling Form
  • Selling Process
  • Free Home Evaluation

Layout spacer

    Layout spacer

      About Us

      • Who We are
      • Meet the Team

      Resources

      • Latest Blogs
      • Free Vendor List
      • PracticalGuides
      • Need Funding?
      • Property Inspector
      • Down Payment Eligibility

      Communities

      • Otsego County
      • Schoharie County
      • Chenango County
      • Delaware County
      • Greene County
      • Broome County
      • Oneida County
      • Montgomery County
      • Ulster County

      Disclosures

      • Standard Operating Procedure
      • NYS Buyer-Seller
      • NYS Landlord-Tenant
      • Tenant Rights Notice
      • Fair Housing Notice
      • Privacy Policy
      • Location Services
      • Properties Preferences
      • Map Data Attribution

      © 2026 Homes, Farms & Land. All rights reserved.

      Property at 2856 Zimmer Road, Wirt, NY 14739
      ACTIVE
      0
      $299,900

      2856 Zimmer RoadWirt, NY, 14739

      3 Beds1 Baths576 SqFt94.7 Acres
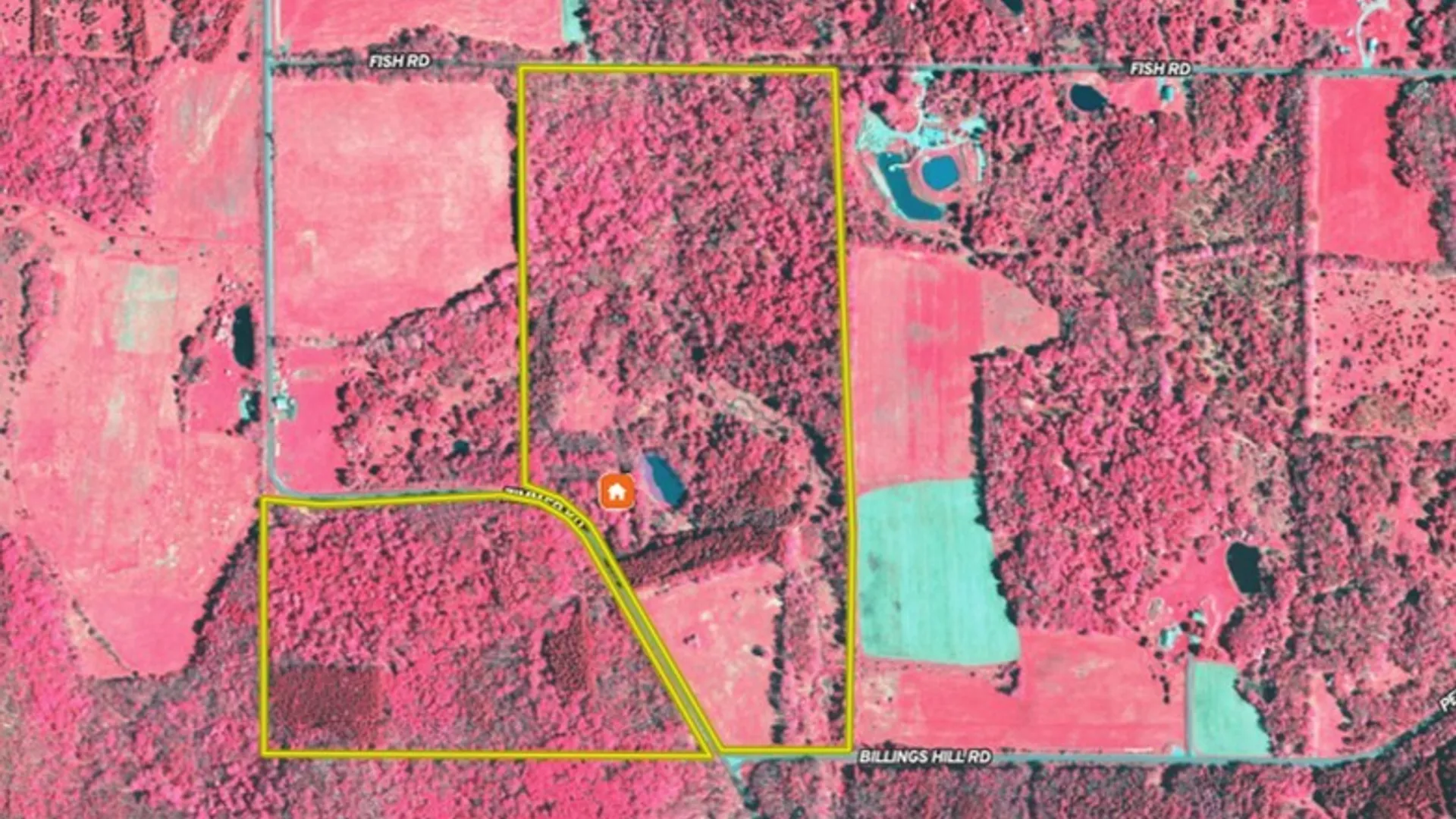
      We are pleased to present quiet recreational retreat just minutes from Bolivar. This attractive, clean wooded property has been carefully managed, with evidence of prior logging and harvest operations observed as recently as 2021. Tucked away from busy roads, the setting is quiet, secluded, and ideal for a hunting camp, weekend getaway, or residential build. Upon entry, you’re welcomed by a charming cabin overlooking a scenic pond, complete with a groomed lawn area that creates a peaceful, park-like atmosphere. A well-established network of old logging roads—previously traveled by side-by-side ATV—remains open and easily navigable, offering excellent internal access throughout the land and doubling as ready-made walking or riding trails. The property boasts a strong timber investment profile, with documented income of $86,000 in 2021 and a projected harvest value of $74,000 in 2036, as qualified in writing by licensed forester. Featuring a mature forest dominated by hardwoods, this property offers exceptional wildlife habitat and hunting potential. With approximately 5,165 feet) of combined road frontage along Fish, Zimmer, and Ball Hill Road, access is outstanding. The 576 sq ft cabin, built in 1960, includes 3 bedrooms, 1 bathroom, an open kitchen and common area, plus an enclosed porch, perfect for relaxing after a day outdoors. Utilities include spring water, septic, Oil fuel, and Electric and Wi-Fi. Highlights include a tranquil pond, no barrier wetlands (some wetlands present), and a landscape well-suited for recreation, hunting, or building. Whether you're seeking a hunting property, timber investment, or a private rural escape, this unique offering checks all the boxes. ADDITIONAL INFO: Buyer's agent must be present for showings, a Side by side is recommended, GMO’s Convey, Timber rights convey, History of past timber revenue, fields, creek, Pond, Spring.
      1 / 50

      Est. Monthly

      $1,422/mo

      $299,900

      2856 Zimmer Road, Wirt, NY

      3 Beds1 Bath576 SqFt94.7 Acres

      We are pleased to present quiet recreational retreat just minutes from Bolivar. This attractive, clean wooded property has been carefully managed, with evidence of prior logging and harvest operations observed as recently as 2021. Tucked away from busy roads, the setting is quiet, secluded, and ideal for a hunting camp, weekend getaway, or residential build. Upon entry, you’re welcomed by a charming cabin overlooking a scenic pond, complete with a groomed lawn area that creates a peaceful, park-like atmosphere. A well-established network of old logging roads—previously traveled by side-by-side ATV—remains open and easily navigable, offering excellent internal access throughout the land and doubling as ready-made walking or riding trails. The property boasts a strong timber investment profile, with documented income of $86,000 in 2021 and a projected harvest value of $74,000 in 2036, as qualified in writing by licensed forester. Featuring a mature forest dominated by hardwoods, this property offers exceptional wildlife habitat and hunting potential. With approximately 5,165 feet) of combined road frontage along Fish, Zimmer, and Ball Hill Road, access is outstanding. The 576 sq ft cabin, built in 1960, includes 3 bedrooms, 1 bathroom, an open kitchen and common area, plus an enclosed porch, perfect for relaxing after a day outdoors. Utilities include spring water, septic, Oil fuel, and Electric and Wi-Fi. Highlights include a tranquil pond, no barrier wetlands (some wetlands present), and a landscape well-suited for recreation, hunting, or building. Whether you're seeking a hunting property, timber investment, or a private rural escape, this unique offering checks all the boxes. ADDITIONAL INFO: Buyer's agent must be present for showings, a Side by side is recommended, GMO’s Convey, Timber rights convey, History of past timber revenue, fields, creek, Pond, Spring.

      StatusActive
      Property TypeLand
      Property SubtypeCabin
      Year Built1960
      Days on Market29 days

      Est. Monthly Payment

      $1,421.52

      %
      %
      yr

      Private Mortgage Insurance

      Not required

      Affordability Checkoptional
      $

      Enter your annual income to check affordability

      Property Details

      Property Information

      2856 Zimmer Road

      Wirt, NY 14739 • Allegany
      3
      Beds
      1
      Bath
      576
      SqFt
      94.7
      Acres
      Status
      Active
      Property Type
      Land
      Property Subtype
      Cabin
      Year Built
      196066 years ago
      Days on Market
      29 days
      Tax History
      Estimated values, may not reflect current amounts.
      • Annual Tax Amount
        $4,475
      Property History
      • Listed for sale
        Apr 20, 2026 • NYSAMLS • R1675012
        $299,900
      Mortgage Calculator
      Estimated monthly payment for this property
      $1,421.52
      Down Payment
      Interest Rate
      Loan Term
      %
      %
      yearsyrs.
      Affordability Checkoptional
      $

      Enter your annual income to see if this home fits your budget

      Private Mortgage Insurance

      Not required — down payment above 20%
      MLS Information
      • Source
        NYSAMLS
      • MLS#
        R1675012
      • Listing Office
        Whitetail Properties Real Estate, LLC
      • Last Updated
        4 days ago

      Interior Features

      • Interior Features
        • Eat In Kitchen
        • Living Dining Room

      Lot & Grounds

      • Lot Size
        94.7 acres
      • Lot Features
        • Irregular Lot
        • Other
        • Residential Lot
        • Secluded
        • See Remarks
        • Pond On Lot
        • Rolling Slope
        • Stream Creek
        • Wooded
      • Exterior Features
        Dirt Driveway

      Type

      • Property Type
        Land
      • Property Subtype
        Cabin
      • Architectural Style
        • Cabin
        • Cottage

      Structure

      • Roof
        Metal

      Condition

      • Year Built
        1960
      • Days on Market
        29 days
      • Water
        Spring
      • Sewer
        Septic Tank
      • Utilities
        • Electricity Available
        • High Speed Internet Available
        • Water Available
        • Electricity Connected

      607-282-6242, (607) 282-6242, or +1 607 282 6242

      Kevin Lucero

      Kevin Lucero

      Lic. Real Estate Salesperson

      CallEmail
      Picked for you

      Similar Properties

      Handpicked listings that match what you're looking at

      View all →
      • 39800 Hyde Lake Road, Theresa, NY 13691ACTIVE$275,000

        39800 Hyde Lake Road, Theresa, NY 13691

        3 Beds1 Bath943 SqFt0.1218 Acres

        LISTING BY LAKE HOMES REALTY LLC

      • 1878 NYS Route 8, Lake Pleasant, NY 12108ACTIVE$279,000

        1878 NYS Route 8, Lake Pleasant, NY 12108

        2 Beds1.5 Baths0.92 Acres

        LISTING BY ALICIA C MILLER REAL ESTATE INC

      • 218 Joe Fultz Boulevard, Scriba, NY 13126ACTIVE$289,900

        218 Joe Fultz Boulevard, Scriba, NY 13126

        2 Beds1 Bath840 SqFt0.18 Acres

        LISTING BY CENTURY 21 LEAH'S SIGNATURE

      • 2923 Lake Road, Ohio, NY 13338ACTIVE$289,900

        2923 Lake Road, Ohio, NY 13338

        1 Bed1 Bath863 SqFt0.7576 Acres

        LISTING BY RIVER HILLS PROPERTIES LLC BARN

      • 3275 Mohawk Drive, Forestport, NY 13338ACTIVE$299,000

        3275 Mohawk Drive, Forestport, NY 13338

        LandCabin5.23 Acres

        LISTING BY BENN REALTY

      • 5140 North Tower Rd Road, Truxton, NY 13158ACTIVE$299,000

        5140 North Tower Rd Road, Truxton, NY 13158

        2 Beds1 Bath1,164 SqFt79.6 Acres

        LISTING BY UNITED COUNTRY PALMER REAL ESTATE

      • 46446 Butterfield, Theresa, NY 13679ACTIVE$299,900

        46446 Butterfield, Theresa, NY 13679

        2 Beds648 SqFt148.1 Acres

        LISTING BY WHITETAIL PROPERTIES REAL ESTATE, LLC

      • 6233 Independence Lane, Greig, NY 13343ACTIVE$315,000

        6233 Independence Lane, Greig, NY 13343

        3 Beds1.5 Baths856 SqFt3.7 Acres

        LISTING BY GOOD MORNING REALTY

      • 14412 Round, Diana, NY 13648ACTIVE$319,900

        14412 Round, Diana, NY 13648

        2 Beds1 Bath480 SqFt3 Acres

        LISTING BY NORTH STAR REAL ESTATE & PROPERTY MANAGEMENT